記者楊允曦/綜合報導
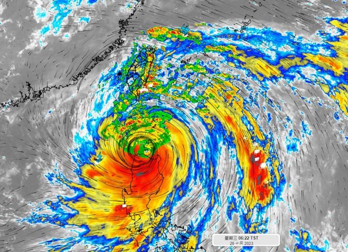
開了眼的中度颱風「杜蘇芮」來勢洶洶,中央氣象局表示,過去3小時中心近似滯留打轉,目前在呂宋島北部近海,預計未來仍將向西北轉北北西移動暴風圈已進入巴士海峽近海,對臺南、高雄、臺東、屏東、恆春半島將構成威脅。對此,氣象專家彭啟明稍早也在臉書上貼出6大重點,請民眾做好防颱準備。

彭啟明今(26)早在臉書上PO文表示「今天風雨會持續加大,暴風圈可能通過的縣市朋友們,真的要提高警覺,做好準備。其他地方也會有陣雨,風速漸增」!除此之外,也告知「杜蘇芮」的六大重點。
- 杜蘇芮颱風正逐漸靠近台灣海峽,影響日益加大。
- 預期今晚,恆春半島、台東、高屏等區域將進入暴風圈,強風豪雨可能出現。
- 明天,颱風將繼續西北移動,預計傍晚至午夜期間最接近台灣西南沿岸。
- 週五上午,颱風可能會在金門西南方的沿海登陸,颱風警報有可能解除。
- 花東地區、恆春半島、南高屏,以及外島的風雨情況將逐漸加大。
- 週五以後,颱風影響將逐漸減小,但天氣仍不穩定,需注意可能的局部大雷雨。
交通部表示,受杜蘇芮颱風影響,今日截至10:00為止,國內線航班取消47架次,國際暨兩岸航線取消4架次。除此之外,台鐵表示南迴線(高雄-臺東間)17時00分以後將有對號列車停駛,枋寮-臺東間區間車17時00分以後視風雨狀況機動行駛,因應颱風變化,乘客出門前,可上各官網查詢。

























